Ocean research can be exciting!

[ The ocean covers over 70% of Earth's surface and contains about 97% of Earth's water. ]

Marine Life

Once we leave port, sea animals are everywhere. Whatever the conditions, we usually see whales, dolphins, sea lions and other marine life while we cruise down the California coast. Much of the coastal shores and islands here are marine sanctuary areas abundant with marine animals.

Our test subjects

Marine Life

3-D Mapping

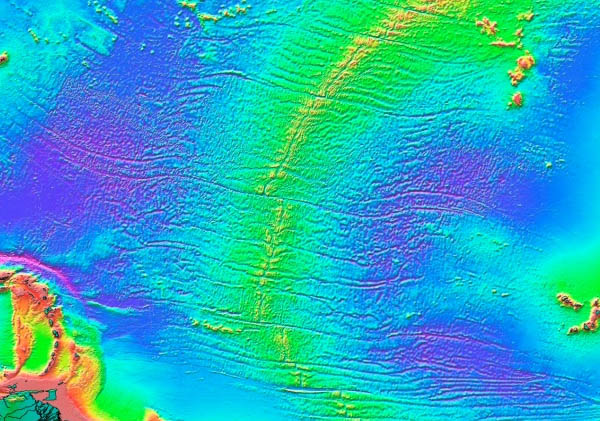
Part of our research involves surveying the seafloor. Much of the coastal topography hasn't been visually examined, and the seabed offers data and mysteries to be explored.

The photic zone includes water from the surface to a depth of 1% of the surface light (about 200 meters in the open ocean), where photosynthesis can occur. The pelagic zone consists of the water column from surface to ocean floor throughout the open ocean. Where these two merge is of great interest: the largely unexplored seafloor within the relatively shallow— and therefore accessible— photic zone depths.

Ocean topography

Shipwrecks

There are thousands of shipwrecks in the North Pacific, and not all of them have been found, explored or recovered. Some ships are rusting and leaking oil and fuel into the ocean, and there are dozens of full oil tankers that are critical, according to Funding the Ocean's co-founder Paul Adams.

Read more

Shipwrecks

Artifacts

The Chumash, a tribe of maritime hunter-gatherers, are thought to be the first people in this area over 13,000 years ago. Artifacts have been found near and in the ocean, but the constant lashing of the sea continues to erase thousands of years of human history along the coastline. Still, our visual inspections of the seabad may find more before they're gone forever.

Read more

Chumash cave painting

Join an Eco-Voyage

Mariner Resources Ocean Events